760000m²

Área total

500m²

Área priv.

3

Quartos

1

Suítes

1

Salas

6

Vagas

Valor do imóvel

R$ 2.500.000

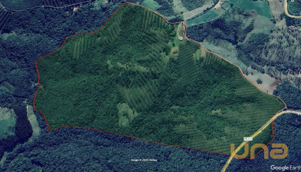
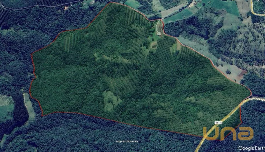
Chácara no Campo Largo de 760000 m² com 3 quartos

Ref: FA0033-MOT

Sobre este imóvel

Fazenda a venda Campo largo com 76 hectares, com casa sede, barracão, formada em pastagem e eucaliptos.
Características principais:
Casa sede com aproximadamente 140,00m2 com 3 quartos sendo uma suíte, 2 salas, cozinha, varanda, garagem e churrasqueira construída em lagar estratégico para apreciar uma vista deslumbrante.
Barracão em alvenaria com 250,00m2 + abrigo, para guardar tratores e implementos e demais uso para dia dia da fazenda.
Casa de caseiro com + /- 80,m2 com 2 quartos e madeira.
Mangueiro para gado com balança e tronco.
Com um bom sistema de abastecimento de água com nascentes próprias com três caixas sendo duas com 5.000 litros, e uma com 10.000 litro d` água que distribuem para propriedade.
Propriedade toda cercada e formada em pastagem, com vario piquetes, reserva legal e plantio de eucaliptos que está faze de rebrota.

Localização

Rodovia do Cerne, 30000

Campo Largo - Campo Largo - PR

Características

Área total: 760000m²

Área privativa: 500m²

Área de serviço: 1

BWC Social: 1

Churrasqueiras: 1

Face do imóvel: Nenhum

Luz: Sim

Quartos: 3

Salas: 1

Suítes: 1

Tipo de piso: Cerâmica

Vagas de garagem: 6

Simule seu financiamento em minutos com todos os bancos e consiga a melhor proposta!

Você também pode gostar

Chácara no Campo Largo de 285700 m²

Campo Largo

Ref: SI0032-MOT

R$ 280.000 R$ 395.000

285700m²

Área

1

Vagas